UWAGA KIEROWCY! Utrudnienia w ruchu na ul. Narutowicza!
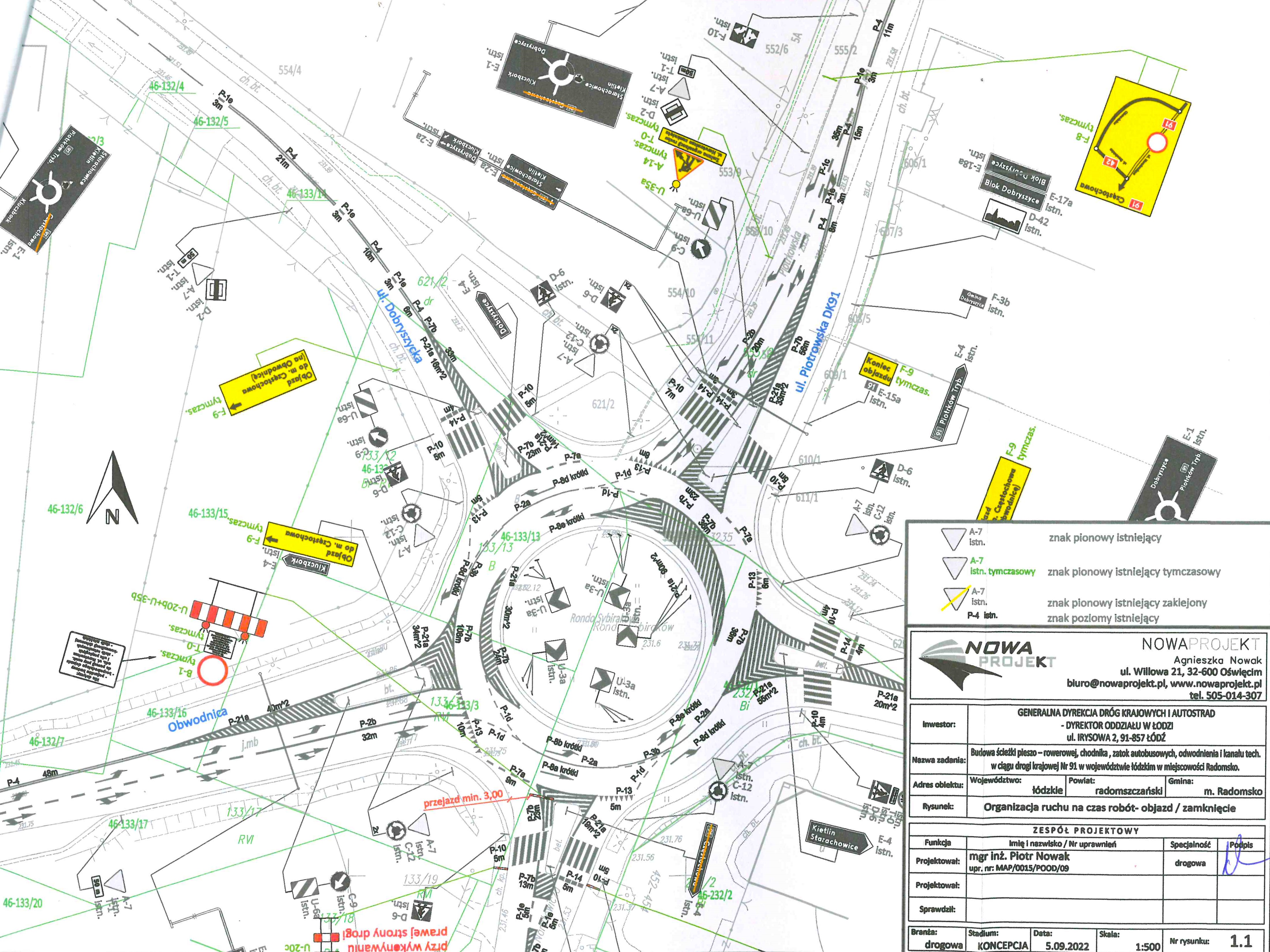
W związku z rozpoczęciem przez Wykonawcę - firmę DROG-BUD Sp. z o. o. prac przy rozbudowie drogi krajowej nr 91 (ul. Narutowicza) we wtorek 7 listopada br. zostanie wprowadzona czasowa organizacja ruchu oraz poprowadzone objazdy.
Odcinek ul. Narutowicza od ul. Wincentego Witosa do ronda Sybiraków (w kier. Piotrkowa Tryb.) zostanie czasowo zamknięty dla ruchu. Objazd został wyznaczony poprzez obwodnicę miasta i ul. Brzeźnicką.
Pozostanie zapewniony dojazd do posesji przyległych do ul. Narutowicza, a także służbom ratunkowym i miejskim oraz komunikacji zbiorowej.
Przypominamy, że Generalna Dyrekcja Dróg Krajowych i Autostrad na ul. Narutowicza w ramach zadania zaplanowała budowę chodnika, ścieżki rowerowej, odwodnienia i oświetlenia.
Chodnik i ścieżka rowerowa powstaną na odcinku od ul. Wincentego Witosa do ronda Sybiraków. Oświetlenie uliczne zostanie wykonane ze środków finansowych budżetu Miasta Radomska.
W najbliższych tygodniach na ul. Narutowicza ruszą też prace związane z budową kanalizacji sanitarnej od ul. Wesołej do okolic ul. Przybyszewskiego. Środki na realizację inwestycji pochodzą z rządowego funduszu Polski Ład: Program Inwestycji Strategicznych edycja II.
Mapy organizacji ruchu:
Mapa1

Mapa 2

Mapa 3

Galeria:

